For Sale
275,000€

Residential units - Geri, Nicosia

Key Features

ID: 39205
    • CategoryCommercial
    • TypeApartment Building
    • AreaGeri, Nicosia
    • StatusResale
    • Energy efficiency ratingPending

    Description

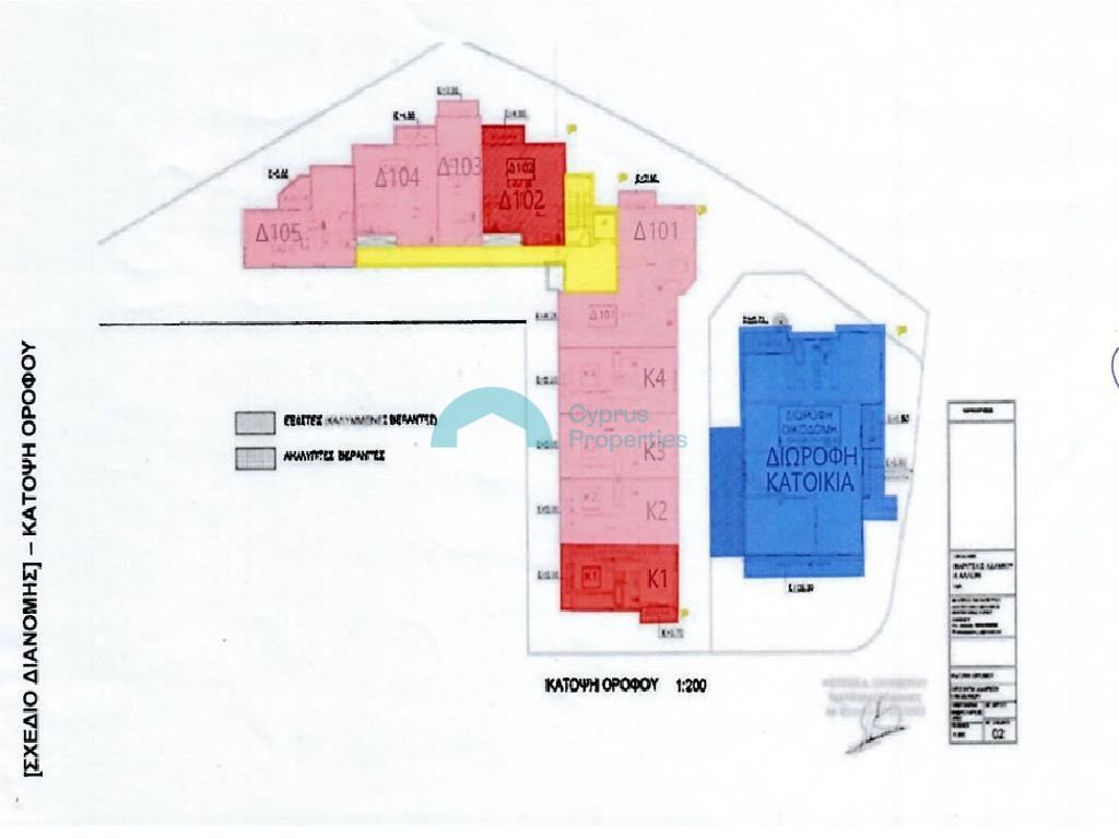
    Three apartments and a two-story house in the municipality of Geri, Nicosia district. The complex is located on Morphou Street, approximately 450 meters southwest of the "Iona and Kolokassi" High School of Geri and approximately 600 meters south of Geri Avenue. Three apartments and a two-story house in the municipality of Geri, Nicosia district. The complex is located on Morphou Street, approximately 450 meters southwest of the "Iona and Kolokassi" High School of Geri and approximately 600 meters south of Geri Avenue. The property is ideally situated close to a plethora of amenities and services such as supermarkets, schools, supermarket, restaurants, shops, cafes etc. Furthermore, the property enjoys excellent access to the motorway. The properties for sale consist of 2 ground floor apartments (1 one-bedroom and 1 studio), one first floor apartment (one-bedroom) and a two-story two-bedroom house. They are part of a residential complex built around 2009. The properties have exclusive right of use of a covered parking space and a storage room in the basement (each). The total area of ​​the interior spaces is approximately 232 sq m. while the verandas are approximately 29 sq m. It is noted that the property has a distribution agreement and the share for sale (1654/5000 shares) concerns the apartments with No. Δ02, Δ 03 & Δ 102 (Red color) and the two-story house with No. K1 (Red color) as shown in the attached plan. The property has acquired a building permit. The flats are vacant and are suitable for private use or for rental use with a good return. The properties are being sold together. We do not accept offers for each unit separately.

    Thank you for your message!

    Mortgage Calculator

    • Mortgage ratio
    • Mortgage amount
    • Total interest payable
    • Total amount to be paid
    Newsletter
    Thank you for your submission!
    ×